741 E Grand Blanc RoadGrand Blanc City, MI 48439




Mortgage Calculator
Monthly Payment (Est.)
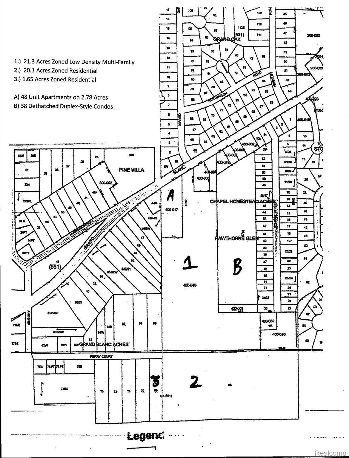
$3,189Prime development opportunity—21.3 acres with approximately 7.5 acres of confirmed upland/buildable land per the Summer 2024 LOMA and updated floodplain map. Zoned LDMF (Low Density Multifamily) in the City of Grand Blanc, this site is ideal for multifamily, residential, or mixed-density concepts. The property offers 125 feet of frontage on E Grand Blanc Rd, along with a potential secondary access point via Perry Court. All major utilities—city water, city sewer, natural gas, and electric—are available at the street. A full set of blueprints, wetland reports, surveys, and FEMA map updates is available for review in our office. Seller is open to a variety of flexible arrangements, including: • Land Contract (optional) • Builder Terms • Possible Trade • 1031 Exchange • Short-term interest-only options • Exchange involving completed units Adjacent 20-acre residential-zoned parcel (MLS# 20230051789) also available. Excellent opportunity for a developer seeking scale and flexibility. BATVAI. Agent is related to the seller’s LLC.
| 4 months ago | Price changed to $699,000 | |
| 4 months ago | Listing updated with changes from the MLS® | |
| 2 years ago | Status changed to Active | |
| 2 years ago | Listing first seen on site |
IDX provided courtesy of Realcomp II Ltd. via RealcompIILtd. Copyright © 2026 Realcomp II Ltd. Shareholders.
IDX information is provided exclusively for consumers' personal, non-commercial use and may not be used for any purpose other than to identify prospective properties consumers may be interested in purchasing and that the data is deemed reliable but not guaranteed accurate by the MLS.

Did you know? You can invite friends and family to your search. They can join your search, rate and discuss listings with you.