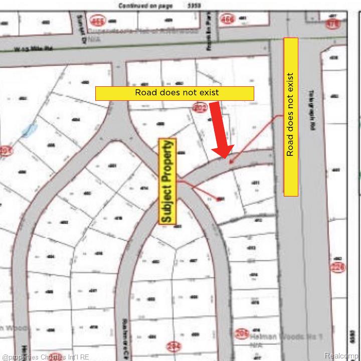
000 Birchway DriveFranklin Village, MI 48025



Mortgage Calculator
Monthly Payment (Est.)
$1,049Build your dream home on this beautiful wooded .64-acre lot in the highly sought-after Franklin Village, within the award-winning Birmingham School district. Nestled in the serene Helmandale neighborhood, this lot is surrounded by a blend of newer homes and charming ranches, offering a perfect balance of modern living and classic appeal. Franklin Village hosts various activities throughout the year in its quaint historical village center. Plus, enjoy convenient access to The Lodge M-10 freeway, providing seamless connectivity to surrounding areas. *This property can connect to the sewer by grinder pump.
| 2 years ago | Listing updated with changes from the MLS® | |
| 2 years ago | Status changed to Active | |
| 2 years ago | Listing first seen on site |
IDX provided courtesy of Realcomp II Ltd. via RealcompIILtd. Copyright © 2026 Realcomp II Ltd. Shareholders.
IDX information is provided exclusively for consumers' personal, non-commercial use and may not be used for any purpose other than to identify prospective properties consumers may be interested in purchasing and that the data is deemed reliable but not guaranteed accurate by the MLS.

Did you know? You can invite friends and family to your search. They can join your search, rate and discuss listings with you.