0 Cherry HillCanton Charter Township, MI 48187


Mortgage Calculator
Monthly Payment (Est.)
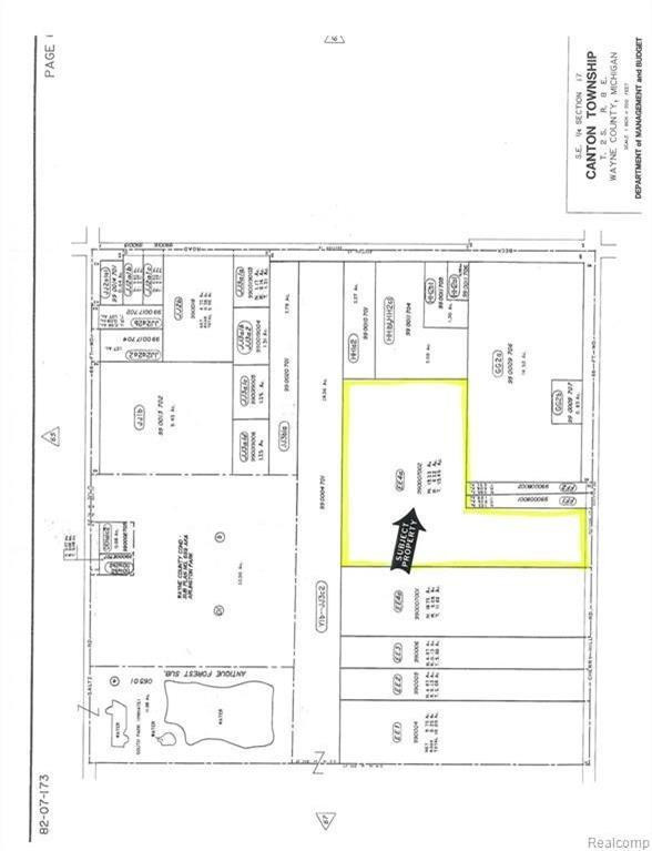
$8,669Huge Opportunity in Canton Michigan!!! Amazing location and ready for development .This 19.23 acre parcel with the frontage to Cherry hill road between Beck & Ridge road is central located in the beautiful community of Canton. The owner has an option to buy 5 acres addition land which connect in the back with the main entrance towards Beck rd.The listing # for 5 acre is 3291013. BRING OFFERS NOW!!!Buyer agent to verify all information.
| 2 years ago | Status changed to Active Under Contract | |
| 2 years ago | Listing updated with changes from the MLS® | |
| 3 years ago | Listing first seen on site |
IDX provided courtesy of Realcomp II Ltd. via GreaterMetropolitanAssociationofREALTORS. Copyright © 2026 Realcomp II Ltd. Shareholders.
IDX information is provided exclusively for consumers' personal, non-commercial use and may not be used for any purpose other than to identify prospective properties consumers may be interested in purchasing and that the data is deemed reliable but not guaranteed accurate by the MLS.

Did you know? You can invite friends and family to your search. They can join your search, rate and discuss listings with you.