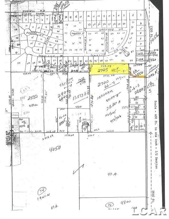
6000 Occidental HighwayRaisin Township, MI 49286

Mortgage Calculator
Monthly Payment (Est.)
$2974 acre parcel in Raisin Township that abuts Coachlite Village Subdivision. Wooded setting, perfect for secluded building site or recreational use. Very close to Tecumseh City limits. Easement access to property off Occidental Highway.
| 4 weeks ago | Listing updated with changes from the MLS® | |
| 4 weeks ago | Status changed to Active | |
| 5 months ago | Price changed to $65,000 | |
| 2 years ago | Listing first seen on site |
IDX provided courtesy of Realcomp II Ltd. via LenaweeCountyAssociationofREALTORS. Copyright © 2026 Realcomp II Ltd. Shareholders.
IDX information is provided exclusively for consumers' personal, non-commercial use and may not be used for any purpose other than to identify prospective properties consumers may be interested in purchasing and that the data is deemed reliable but not guaranteed accurate by the MLS.

Did you know? You can invite friends and family to your search. They can join your search, rate and discuss listings with you.