100 BLK Pleasant DriveTecumseh Township, MI 49286




Mortgage Calculator
Monthly Payment (Est.)
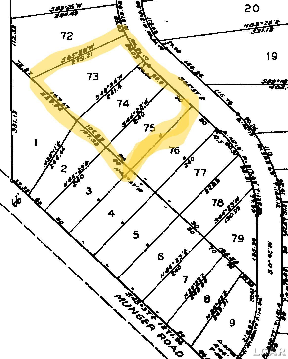
$192Discover the ideal real estate opportunity in Tecumseh Township, just outside the City of Tecumseh. This vacant land is a wooded lot that provides a secluded and tranquil setting, perfect for building your dream home. Surrounded by nature, this property offers a peaceful environment with abundant wildlife. Imagine waking up to the sounds of birds chirping and the sight of lush greenery all around you. Don't miss out on the chance to create your own retreat in this serene location. Lots 73, 74, 75
| 4 days ago | Listing updated with changes from the MLS® | |
| 4 days ago | Status changed to Active Under Contract | |
| 2 months ago | Listing first seen on site |
IDX provided courtesy of Realcomp II Ltd. via LenaweeCountyAssociationofREALTORS. Copyright © 2026 Realcomp II Ltd. Shareholders.
IDX information is provided exclusively for consumers' personal, non-commercial use and may not be used for any purpose other than to identify prospective properties consumers may be interested in purchasing and that the data is deemed reliable but not guaranteed accurate by the MLS.

Did you know? You can invite friends and family to your search. They can join your search, rate and discuss listings with you.