1776 N Monroe StreetMonroe City, MI 48162


Mortgage Calculator
Monthly Payment (Est.)
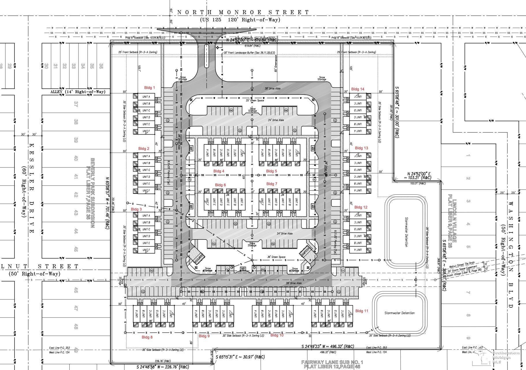
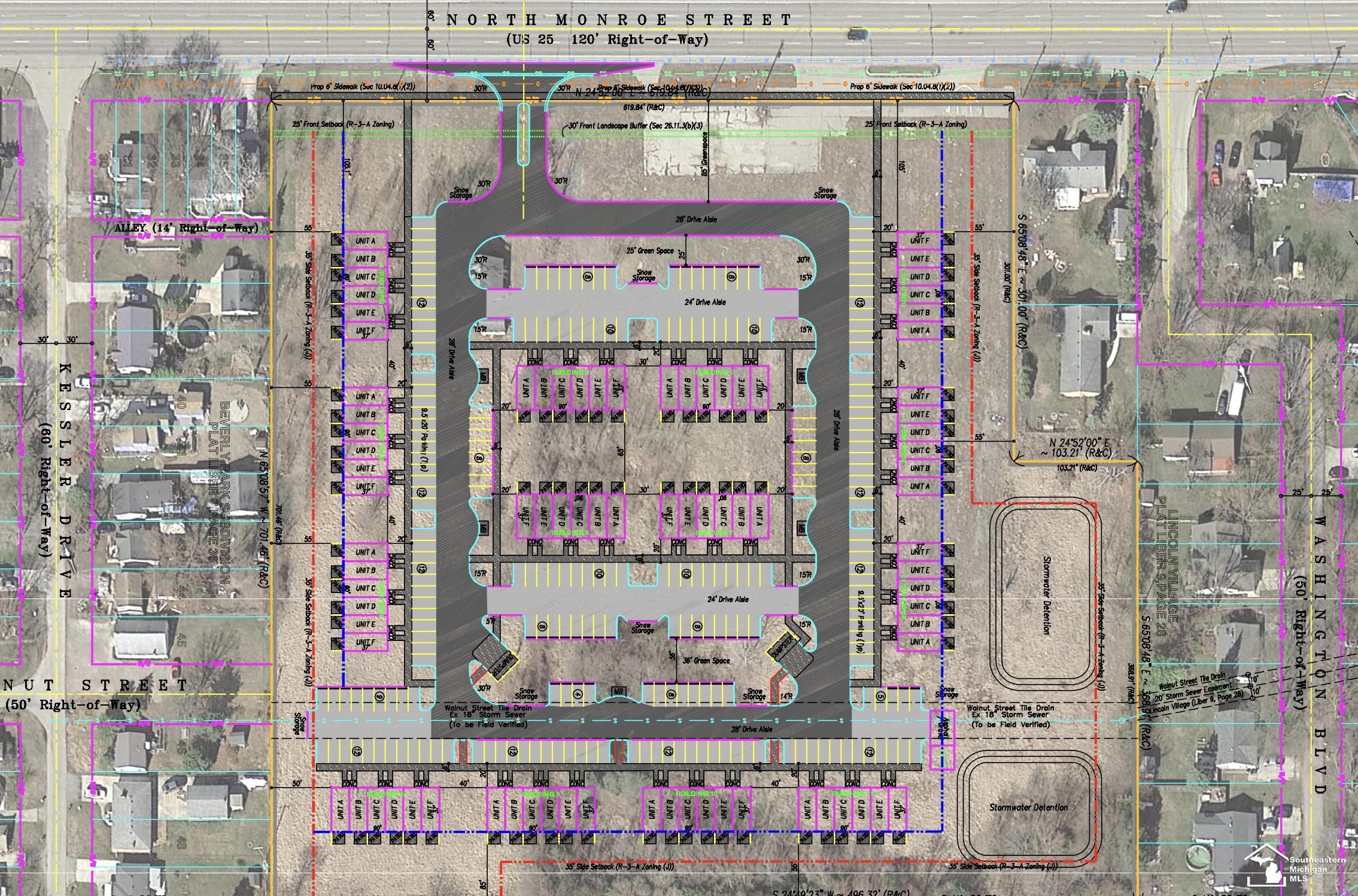
$2,053An exceptional opportunity awaits with this 10.60 acre parcel of vacant commercial land, ideally situated just minutes from I-75, I-275, and the Telegraph Road shopping corridor. This shovel ready site has been surveyed and features previously approved site plans for an 84 unit condominium development, thoughtfully designed across 14 buildings with 6 units per building. Zoned commercial and strategically located in a rapidly growing area, this property offers outstanding potential for residential, mixed-use, or commercial development. Whether you're a seasoned builder or an investor seeking your next project, this site provides the infrastructure to hit the ground running.
| 8 months ago | Listing first seen on site | |
| 8 months ago | Listing updated with changes from the MLS® |
IDX provided courtesy of Realcomp II Ltd. via SoutheasternBorderAssociationofREALTORS. Copyright © 2026 Realcomp II Ltd. Shareholders.
IDX information is provided exclusively for consumers' personal, non-commercial use and may not be used for any purpose other than to identify prospective properties consumers may be interested in purchasing and that the data is deemed reliable but not guaranteed accurate by the MLS.

Did you know? You can invite friends and family to your search. They can join your search, rate and discuss listings with you.